Превосходный яркий NIR-препарат люминесцентных наночастиц, показывающий обнаружение сигналов кальция в клетках и мелких животных

Превосходный яркий NIR-препарат люминесцентных наночастиц, показывающий обнаружение сигналов кальция в клетках и мелких животных
Превосходный яркий NIR-препарат люминесцентных наночастиц, показывающий обнаружение сигналов кальция в клетках и мелких животных

Фон

Эффекты флуоресценции ближнего поля (NFF) были использованы для разработки новой ближней инфракрасной (NIR) люминесцентной наночастицы (LNP) с превосходной яркостью. LNP используется в качестве контрастного средства визуализации для визуализации клеток и мелких животных, и, кроме того, предлагается использовать его для обнаружения чувствительного к напряжению кальция в живых клетках и животных с высокой чувствительностью.

Результаты

NIR Индоцианиновый зеленый (ICG) краситель конъюгировали с человеческим сывороточным альбумином (HSA) с последующим ковалентным связыванием с золотыми наностержнями (AuNR). AuNR демонстрировал двойные плазмоны с поперечной и продольной оси, а продольный плазмон был локализован в области NIR, что могло эффективно сочетаться с возбуждением и испусканием красителя ICG, приводящим к значительному усилению NFF. Коэффициент усиления был измерен примерно в 16 раз с использованием спектральных методов как ансамбля, так и одиночной наночастицы. В качестве контрастного средства визуализации комплекс ICG-HSA-Au (сокращенно ICG-Au) был конъюгирован на клетках HeLa, а изображения флуоресцентных клеток записывались на разрешенном во времени конфокальном микроскопе. Сигналы излучения комплексов ICG-Au четко различались как отдельные пятна, которые наблюдались на клеточном фоне из-за их высокой яркости, а также сокращенного времени жизни. LNP также были протестированы на низкую цитотоксичность. Комплексы ICG-Au вводили под поверхностью кожи мыши с пятнами эмиссии, в 5 раз ярче, чем пятна от того же количества свободных конъюгатов ICG-HSA.

Выводы

На основании наблюдений в этом исследовании было обнаружено, что возбуждение и испускание красителей NIR ICG способны в достаточной степени связываться с продольным плазмоном AuNR, что приводит к значительному усилению NFF. Используя LNP с суперяркостью в качестве контрастного вещества, комплекс ICG-Au может быть разделен на фоне изображения клеток и мелких животных. Новый NIR LNP также имеет большой потенциал для обнаружения концентрации кальция в клетках и живых животных с высокой чувствительностью.

Фон

Кальций является хорошо известным сигнальным ионом у большинства эукариот (1, 2). Градиент концентрации кальция через плазматическую мембрану и внутриклеточную органеллу может динамически изменяться через отверстия в оркестрированных каналах и, кроме того, генерировать строго контролируемые пространственные и временные структуры. В электрически возбудимых нейронах и мышечных клетках потенциал-управляемые кальциевые каналы связаны с деполяризацией мембраны из-за притока кальция, который может существенно изменить физиологию клетки (3, 4). Следовательно, важно понимать градиент концентрации кальция и колебания в клетках. Это исследование может также подчеркнуть важную роль кальция на клеточном уровне, а также у живых животных.

В настоящее время потенциал-управляемые кальциевые каналы в клетках, тканях и средах часто измеряются с помощью флуоресцентного изображения (5, 6). Как правило, флуорофор используется в качестве индикатора кальция для хелатирования с ионом кальция, создавая сигнал флуоресценции. При изменении концентрации или среды ионов Ca 2+ в клетке сигнал флуоресценции от индикатора изменяется. Этот метод может также использоваться для изучения внутриклеточной концентрации кальция и градиента ионов кальция на клеточном уровне, а также у живых животных (7, 8). На самом деле, мониторинг кальция с контролем напряжения на напряжении стал важной темой при обнаружении кальциевых каналов, потому что сигналы кальция выполняют свои высокоспецифичные функции в четко определенных клетках или мелких животных.

В последние десятилетия новые кальциевые индикаторы были синтезированы в виде органических соединений (9, 10). Большинство из этих индикаторов кальция имеют свои длины волн излучения в видимой области. Известно, что флуоресцентные сигналы в видимой области имеют сильные помехи от сильных фонов от клеточной автофлуоресценции и рассеяния света в биологических системах (11, 12, 13, 14, 15, 16, 17). Для подавления помех предлагается использовать флуорофор ближнего инфракрасного диапазона (NIR) для использования в качестве контрастных агентов для визуализации (18, 19, 20). Ткань и вода имеют окно с низким фоном, позволяющее проникать свету возбуждения вглубь ткани и позволяющее обнаруживать выбросы флуорофоров с лучшим разрешением в клетках и тканях.

Однако в качестве контрастных агентов для визуализации флуорофоры NIR имеют два существенных недостатка: (1) низкие коэффициенты поглощения, которые могут привести к их низкой яркости, и (2) низкую фотостабильность, что приводит к их короткому времени отбеливания (21, 22). Насколько нам известно, до сих пор не хватает эффективного контрастного вещества, позволяющего обнаруживать ионы кальция в клетках и мелких животных на уровне одной молекулы. Следовательно, существует насущная потребность в новом подходе, который может значительно улучшить флуоресцентные свойства NIR-флуорофоров, особенно в отношении их яркости и фотостабильности.

Флуоресценция ближнего поля (NFF) может улучшить флуоресцентные свойства флуорофоров (23). По сути, металлическая наночастица может создавать локальное электромагнитное поле поблизости в виде светового излучения, и электромагнитное поле ограничивается металлическими плазмонами (24, 25, 26). Когда флуорофор локализован в ближней зоне от поверхности наночастиц металла, возбуждение / испускание флуорофора может сильно сочетаться с индуцированными светом плазмонами на наночастицах металла (27, 28), а также со скоростью возбуждения или эмиссии. флуорофора может быть значительно увеличено. В результате флуоресцентные свойства флуорофора могут быть значительно улучшены, в том числе (1) значительно увеличена интенсивность излучения и квантовый выход (2) увеличено время фотообесцвечивания и (3) уменьшено фотосвязывание флуорофора (28).

Так как сферическая металлическая наночастица с разумным размером демонстрирует свои одномодовые плазмоны в видимом диапазоне, большинство текущих эффектов NFF были протестированы с использованием видимых флуорофоров, и лишь немногие с использованием NIR флуорофоров (29, 30, 31, 32, 33). В отличие от сферических металлических наночастиц, формованные металлические наночастицы, такие как металлические нанооболочки или наностержни, могут отображать поверхностные плазмоны на большей длине волны (34, 35). Например, золотые наностержни (AuNR) могут отображать свои расщепленные двойные плазмоны от короткой (поперечной) и длинной оси (продольной) соответственно (36, 37, 38), и, что важно, продольный плазмон может быть настроен на область NIR регулируя соотношение сторон AuNR. Таким образом, ожидается, что продольные плазмоны из AuNR будут способны в достаточной степени связываться с возбуждением / испусканием NIR-флуорофоров, приводящим к сильной NFF-индуцированной флуоресценции в области NIR. Между тем, NIR AuNR остаются разумными размерами.

Мы заинтересованы в разработке новых NIR LNP с высокой яркостью и, кроме того, используя эти LNP в качестве контрастных агентов для визуализации, для определения ионов кальция в клетках и живых мелких животных. В этом исследовании эффект NFF был использован для приготовления новых NIR LNP. Индоцианиновый зеленый (ICG) является подтвержденным FDA нетоксичным NIR-флуорофором для безопасности пациентов в офтальмологии (39, 40), а также известен как чувствительный к напряжению флуорофор, который можно использовать для определения потенциал-управляемых кальциевых каналов путем добавления хелаторов на его химическая структура (41). В этом исследовании краситель ICG был связан с AuNR на расстоянии ближнего поля, чтобы исследовать NFF в области NIR.

Вкратце, красители ICG сначала конъюгировали в человеческом сывороточном альбумине (HSA) с последующим ковалентным связыванием конъюгатов на поверхностях AuNR (42, 43). Поскольку молекулы HSA имеют средний размер ок. 10 нм, ICG-красители, конъюгированные с молекулами HSA, распределены на расстоянии ближнего поля от поверхностей AuNR. Кроме того, возбуждение / испускание красителей ICG может в достаточной степени соединяться с продольными плазмонами AuNR, и, таким образом, ожидается, что NFF от связанных красителей ICG на AuNR произойдет. Спектры ансамбля и одиночных наночастиц использовали для оценки изменения оптических свойств красителей ICG до и после их связывания с AuNR. Используя в качестве контрастного вещества наночастиц, комплекс ICG-HSA-Au (сокращенно ICG-Au) связывали с клетками HeLa, и изображения флуоресцентных клеток собирали для оценки спектральных свойств флуоресценции на уровне одной наночастицы. Комплекс ICG-Au также вводили мышам для флуоресцентной томографии живых животных. По сравнению со свободными конъюгатами ICG-HSA комплекс ICG-Au продемонстрировал значительно улучшенные свойства при использовании томографии живых животных (44, 45, 46, 47, 48, 49, 50).

Результаты

Конъюгаты ICG-HSA

В этом исследовании люминесцентная наночастица NIR была разработана с использованием сильного эффекта NFF путем связывания красителей NIR ICG на поверхностях AuNR на расстоянии ближнего поля. Таким образом, красители ICG сначала были конъюгированы с молекулами HSA с образованием конъюгатов ICG-HSA, а затем конъюгаты были ковалентно связаны на поверхностях AuNR. В экспериментах ICG и HSA растворяли в водном растворе с молярным соотношением ICG / HSA = 4/1. После реакции свободные красители ICG удаляли из раствора путем диализа против воды.

Флуоресцентные свойства красителей ICG до и после конъюгации измеряли с помощью ансамблевой спектроскопии. При возбуждении при 760 нм конъюгат ICG-HSA обнаружил полосу излучения с центром при 819, 7 нм, смещающуюся к более короткой по сравнению со свободными красителями ICG в водном растворе (рис. 1а). Полоса излучения также расширилась с конъюгацией ICG, что может быть связано с плазмонами или короткой длиной волны ICG.

фигура 1
фигура 1

а Спектры поглощения AuNRs, покрытых CTAB, PEG и ICG-HSA, связанных в 10 мМ PBS буферном растворе. b Спектры эмиссии ансамбля от красителей ICG в виде свободных, конъюгатов в HSA и комплексов с AuNR в 10 мМ буферном растворе PBS

Изображение в полном размере

Ковалентно связывающиеся конъюгаты ICG-HSA на AuNR

Известно, что биологические свойства наночастиц, такие как поглощение клеток и время циркуляции, сильно зависят от их поверхностных свойств (51, 52). В этом исследовании AuNR были подготовлены с защитой монослоев цетилтриметиламмонийбромида (ЦТАБ) на поверхностях. Чтобы улучшить их биологическую активность, монослои CTAB на AuNR были заменены монослоями тиолат-полиэтиленгликоля (PEG) посредством реакции поверхностного замещения на наночастице. Свободные малые молекулы удаляли диализом против воды. Предполагалось, что большинство молекул ЦТАБ на поверхностях AuNR заменяются молекулами ПЭГ. Изменение монослоев на поверхностях AuNR может быть отражено изменением растворимости AuNR в водном растворе до и после реакции. Кроме того, поскольку эти молекулы ПЭГ связывались на поверхностях AuNR через серно-металлические связи, намного сильнее, чем молекулы ЦТАБ посредством электростатических взаимодействий, ПЭГ-AuNR должны становиться более химически стабильными в растворе (51, 52).

Для связывания конъюгатов ICG-HSA на AuNR монослои PEG на AuNR были частично замещены тиолатным карбоксил-лигандом из N- (2-меркапто-пропинил) глициновых лигандов для создания реакционноспособных центров на поверхностях AuNR посредством реакции поверхностного обмена. (53, 54). Экспериментально тиолатный карбоксил-лиганд растворяли в растворе с молярным соотношением карбоксил-лиганд / AuNR = 100/1. После реакции замещения незамещенные лиганды удаляли диализом против воды.

Конъюгаты ICG-HSA были ковалентно связаны с AuNR посредством поверхностной конденсации первичных аминогрупп в конъюгатах ICG-HSA с карбоксильными фрагментами на AuNR в присутствии 1- (3-диметиламинопропил) -3-этилкарбодиимида гидрохлорида (EDC) в качестве агента конденсации. Конъюгаты ICG-HSA растворяли в избыточном количестве в растворе, чтобы избежать агрегации наночастиц посредством сшивания. Конечный продукт AuNR извлекали центрифугированием и затем очищали диализом против воды.

Оценка комплекса ICG-Au методом микроскопии и ансамблевой спектроскопии

Томографию AuNR через поверхностные реакции оценивали с использованием просвечивающего электронного микроскопа (TEM). Репрезентативные изображения AuNR показаны на рис. 2a, b до и после поверхностных реакций на AuNR. Наблюдалось, что эти AuNR имеют среднюю ширину 10 нм и среднюю длину 40 нм, и было рассчитано, что соотношение сторон составляет приблизительно. 4.0. Не было значительных изменений в томографии с трехступенчатыми поверхностными реакциями на AuNR, отражая то, что поверхностные реакции на AuNR только изменяли состав монослоя на их поверхностях, но не на их металлических ядрах.

фигура 2
фигура 2

ПЭМ-изображения (a) CTAB-AuNR и (b) ICG-Au комплексов

Изображение в полном размере

Известно, что плазмонное поглощение металлических наночастиц чувствительно к составу монослоев на поверхности (30, 31). В этом исследовании спектр поглощения использовался для измерения замещения лигандов на поверхностях AuNR. AuNR демонстрировали двойные плазмоны от короткой (поперечной) и длинной оси (продольной) при 504 и 802 нм соответственно (рис. 1а). После однослойных реакций на поверхности наночастиц было обнаружено, что две плазмонные полосы остались, но максимумы были слегка смещены в сторону увеличения при 511 и 807 нм (рис. 1а), соответственно.

Спектры ансамблевой флуоресценции также были чувствительны к связыванию красителей ICG на поверхности металлических наночастиц. Было показано, что полоса излучения комплексов ICG-Au центрирована на 814 нм (рис. 1б), смещаясь на 5 нм в более короткую по сравнению со свободными конъюгатами ICG-HSA. Спектральные сдвиги флуоресценции были привлекательны для длины волны, зависящей от взаимодействия наночастиц металла и флуорофора (55, 56, 57).

Оценка комплекса ICG-Au методом спектроскопии одиночных наночастиц

В дополнение к ансамблевому спектру, влияние NFF на комплексы ICG-Au можно было оценить с использованием спектрального измерения одной наночастицы. Для приготовления тестируемых образцов комплекс ICG-Au разбавляли до нМ в водном растворе и затем наносили каплю на покровное стекло с последующей сушкой на воздухе. При низкой концентрации в растворе перед сушкой комплексы ICG-Au в основном присутствовали в виде изолированных частиц на покровном стекле. Измерения единичных наночастиц проводили на разрешенном во времени конфокальном микроскопе. При возбуждении лазером 640 нм как интенсивности излучения, так и времена жизни от комплексов ICG-Au (как показано на рис. 3а) были собраны на уровне одной наночастицы (54). В качестве контроля свободные конъюгаты ICG-HSA также разбавляли в растворе и наносили на покровное стекло. Сигналы излучения собирались при тех же условиях на конфокальном микроскопе, но с силой возбуждения лазера, в 10 раз большей. Собранные пятна эмиссии от свободных конъюгатов были очень тусклыми, как показано на рис. 3, b, демонстрируя более низкие интенсивности эмиссии свободных конъюгатов. Для каждого образца было собрано не менее 50 пятен излучения, и гистограмма интенсивностей и времен жизни была получена путем подгонки к гауссовой кривой распределения (рис. 4а для интенсивности и b для времени жизни), и максимальные значения кривых были получены для представления интенсивности излучения и времени жизни образца, соответственно.

Рисунок 3
Рисунок 3

Верхние панели представляют изображение эмиссии от (a) комплексов ICG-Au и (b) конъюгатов ICG-HSA. Диаграммы 5 × 5 мкм и разрешения 100 × 100 пикселей с интеграцией 0, 6 мс / пиксель. На нижних панелях представлены флуоресцентные изображения клеток, конъюгированных с (c) комплексами ICG-Au и (d) конъюгатами ICG-HSA. Диаграммы составляют 50 × 50 мкм, а разрешения - 100 × 100 пикселей с интеграцией 0, 6 мс / пиксель. Образцы возбуждались лазером 640 нм. Обратите внимание на различные шкалы интенсивности. Изображения a и c были получены при мощности лазера в 10 раз меньше, чем изображения b и d

Изображение в полном размере

figure4
figure4

Распределение гистограмм одиночных точек (а) интенсивности эмиссии и (б) времени жизни от конъюгатов ICG-HSA как свободных и связанных на AuNR

Изображение в полном размере

Взаимодействие ближнего поля возбужденного флуорофора с металлической наночастицей может увеличить скорость излучения флуорофора, и, как следствие, время жизни флуорофора может быть уменьшено (25). Следовательно, время жизни может использоваться в качестве важного параметра для оценки взаимодействия в ближнем поле. При этом распады возбужденных комплексов ICG-Au, а также конъюгатов ICG-HSA регистрировали с помощью конфокального микроскопа, следуя подгонке к кривой распределения Гаусса (рис. 4b). Были получены максимальные значения времени жизни красителей ICG, показывающие значительное уменьшение времени жизни от 2, 3 нс для несвязанных конъюгатов ICG-HSA до 0, 4 нс для комплексов ICG-Au.

Флуоресцентная клеточная визуализация

Чтобы проверить флуоресцентные свойства комплексов ICG-Au для визуализации клеток, комплексы ICG-Au использовали в качестве контрастного агента для визуализации для конъюгирования с клетками HeLa. Вкратце, клетки HeLa культивировали на покровных стеклах с последующей фиксацией с использованием 4% параформальдегида. Покрытое клетками покровное стекло инкубировали с комплексом ICG-Au в течение 30 минут и затем полностью промывали буфером PBS. Изображения флуоресцентных клеток собирали на разрешенном во времени конфокальном микроскопе как по интенсивности, так и по времени жизни. Репрезентативное изображение было представлено на рис. 3в. Было показано, что комплексы ICG-Au были представлены в виде отдельных пятен на клетках, отчетливо наблюдаемых на клеточном фоне, либо из-за их высокой интенсивности и дифференцированного времени жизни.

В качестве контроля конъюгаты ICG-HSA также конъюгировали с клетками HeLa, и изображения клеток записывали на конфокальной микроскопии в тех же условиях (фиг. 3d). По сравнению с изображениями пустых клеток общие изображения клеток стали более яркими, что указывает на то, что конъюгаты ICG-HSA действительно были конъюгированы на клетках. Но сигналы излучения от одиночных конъюгатов ICG-HSA не могли быть хорошо разрешены как отдельные пятна на клеточном фоне изображений клеток, что было обусловлено их низкой яркостью, а также временем жизни, близким к клеточному фону.

Измерения цитотоксичности

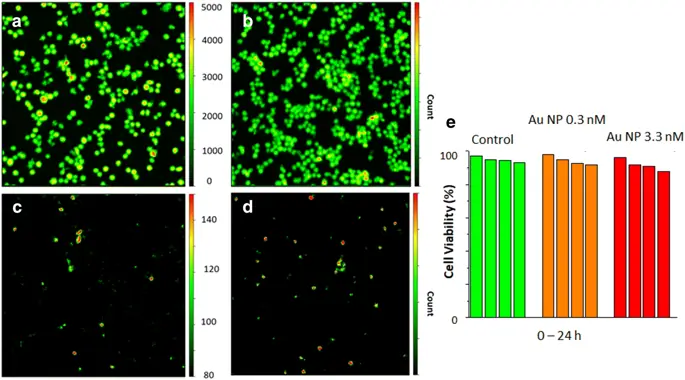
Цитотоксичность свободного конъюгата и комплекса ICG-Au тестировали на живых клетках HeLa с использованием анализа кальцеина AM. Изображения клеток через разные промежутки времени собирали на разрешенном во времени конфокальном микроскопе, как показано на фиг.5. Для статистического анализа выживаемости клеток была выбрана область с большим количеством клеток. Живые клетки могут быть идентифицированы как окрашенные кальцеином AM (пятно жизнеспособности зеленых клеток), как показано на изображении A, когда присутствовало отсутствие наночастиц (294 клетки), и на изображении B, когда присутствовало 3 нМ Au. наночастицы (207 клеток) после времени обработки 24 ч. Количество клеток с высокой аутофлуоресценцией подсчитывали как 20 в отсутствие наночастиц (фиг. 5c) и как 13 в присутствии наночастиц Au (фиг. 5d), показывая, что показатели жизнеспособных клеток составляют 93, 1 и 93, 7% соответственно., Результаты в присутствии 0, 3 и 3 нМ, а также контроль были перечислены на рис. 6е, отражая то, что присутствие наночастиц Au в клеточной среде оказало лишь незначительное влияние на выживание клеток. Это также демонстрирует, что наночастицы Au имеют очень низкую цитотоксичность.

figure5
figure5

Панель изображений клеток живых клеток HeLa, окрашенных кальцеином AM без (а) наночастиц Au и (б) в присутствии 3 нМ наночастиц Au. Изображения клеток, окрашенных кальцеином (а) и (б), получали после 24 ч обработки наночастицами при возбуждении лазерным диодом 443 и полосовым фильтром 514/30 нм. Изображения c и d представляют собой автофлуоресценцию клеток без (а) наночастиц Au и (б) в присутствии 3 нМ наночастиц Au через 24 часа. Аутофлуоресцентные изображения клеток собирали при возбуждении при 640 нм и длиннопроходном фильтре 655 нм. Клетки с более яркой аутофлуоресценцией в c и d классифицируются как мертвые. е представляет скорости жизнеспособных клеток в присутствии 0, 3 и 3 нМ в клеточной среде, а также в отсутствие наночастиц Au в качестве контроля на интервале времени = 0, 5, 2, 12, 24 ч.

Изображение в полном размере

figure6
figure6

Изображения in vivo флуоресцентной томографии мышей с использованием комплексов ICG-Au в качестве контрастного вещества, инъецированного под кожу мышей. Изображения собирали на томографической системе для мелких животных Xenogen IVIS-200 с полосовым фильтром от 665 до 695 нм для фона, фильтром от 710 до 760 на стороне возбуждения и фильтром от 810 до 875 нм на стороне излучения, В качестве источника возбуждения использовался лазер 750 нм. Общий поток фотонов (фотонов / с) рассчитывали и корректировали по глубине ткани с помощью спектральной визуализации с использованием программного обеспечения Living Image 3.0 (Xenogen). Левое изображение (а) было получено на контрольных мышах, а правое изображение (б) было получено путем инъекции комплекса ICG-Au, конъюгата ICG-HSA или чистого буферного раствора PBS с таким же объемом на тех же мышах.

Изображение в полном размере

Флуоресцентная визуализация мелких животных

Шесть 5-6 недель голых мышей были отобраны для проверки оптических свойств нового LNP с помощью флуоресцентного изображения мелких животных. Мыши были случайным образом разделены на две группы, и в каждой группе было по три мыши. Сначала мышей подвергали эвтаназии под глубоким наркозом, а затем вводили комплекс ICG-Au ниже поверхности кожи мыши (16, 17). В качестве контроля раствор конъюгата ICG-HSA, содержащий такое же количество красителя ICG, также инъецировали той же мыши в другом месте. Флуоресцентную визуализацию мелких животных выполняли на системе Xenogen IVIS-200, и репрезентативные изображения были показаны на фиг. 6. Изображение от необработанной мыши также было представлено в качестве контроля. Было обнаружено, что пятна эмиссии от мест инъекции комплексом ICG-Au и конъюгатом ICG-HSA значительно различаются: пятно от комплекса ICG-Au составляло приблизительно. В 5 раз ярче пятна конъюгата ICG-HSA. Поскольку было известно, что два участка инъекции у одних и тех же мышей содержат одинаковое количество красителя ICG, разница в их яркости должна быть связана с их различной интенсивностью излучения. Другими словами, усиленная флуоресценция NFF от комплекса ICG-Au приводит к увеличению яркости красителей ICG при визуализации мелких животных.

обсуждение

В этом исследовании NIR LNP был разработан и подготовлен на основе эффекта NFF. Красители ICG были конъюгированы с молекулами HSA с последующим ковалентным связыванием с AuNR (42, 43). Для достижения конъюгатов ICG-HSA с максимальной яркостью молярное отношение ICG к HSA в конъюгации контролировали до 4/1 в реакции. Слишком много красителей ICG на одной молекуле HSA приведет к самозатуханию среди флуорофоров, а слишком малое количество красителей в одной молекуле HSA приведет к низкой яркости.

Для улучшения биоактивности наночастиц монослои ЦТАБ на AuNR были заменены монослоями ПЭГ по реакции поверхностного замещения (51, 52). Считалось, что большинство молекул ЦТАБ в AuNR заменяются молекулами ПЭГ и подтверждается изменением растворимости AuNR в водном растворе до и после замены. До замены было обнаружено, что AuNR имеют очень хорошую дисперсию в воде, тогда как после замены AuNR легко прилипали к стенке стеклянной трубки, что было обусловлено повышенной гидрофобностью поверхностей наночастиц монослоями PEG. Кроме того, с более сильными серо-металлическими ковалентными связями ПЭГ с AuNR предполагалось, что модифицированные AuNR обладают улучшенной химической стабильностью в растворе (51, 52).

Для ковалентного связывания конъюгатов ICG-HSA на AuNR монослои PEG на AuNR были частично замещены N - (2-меркапто-пропинил) глицином для создания реакционноспособных центров на поверхностях наночастиц. Затем конъюгаты ICG-HSA были ковалентно связаны с AuNR посредством реакции конденсации (53). Связывание конъюгатов ICG-HSA с AuNR может поддерживаться изменением спектров поглощения и флуоресценции до и после реакций, как описано ранее. Количество связывания ICG-HSA на каждом AuNR можно измерить, используя метод лечения NaCN (53). Обычно несколько капель 0, 1 н. Водного раствора NaCN добавляли в 0, 5 нМ раствор комплекса ICG-Au. Наблюдалось, что цвет плазмона раствора постепенно исчезал со временем, показывая, что наночастицы металла растворялись NaCN. В результате конъюгаты ICG-HSA высвобождались из наночастиц как свободные в раствор. Весь процесс может контролироваться ансамблевым спектром флуоресценции, выражающим резкое снижение интенсивности излучения (рис. 7) до насыщения. Конъюгаты ICG-HSA высвобождались в виде свободного раствора, полностью теряя эффект NFF, что приводило к резкому снижению интенсивности излучения (31). Используя интенсивность насыщенного излучения, концентрация конъюгатов ICG-HSA в растворе была измерена как 3 × 10 -9 М. Поскольку количество ICG-HSA в растворе существенно не изменилось до и после обработки NaCN, согласно Отношение интенсивности излучения до обработки к таковому после обработки коэффициент усиления для красителя ICG на AuNR был рассчитан как 16, 3.

figure7
figure7

Изменение спектра эмиссии комплекса ICG-Au в 10 мМ буферном растворе PBS до и после обработки NaCN

Изображение в полном размере

Чтобы оценить влияние NFF красителей NIR на AuNR, были получены наносферы золота размером 20 и 50 нм с последующим ковалентным связыванием с конъюгатами ICG-HSA по той же стратегии. Используя обработку NaCN, коэффициент усиления красителей ICG на наносферах золота 50 нм был измерен на уровне 2, 3, что намного ниже, чем на AuNR, хотя объем наносферы золота на 50 нм почти в 20 раз больше по объему, чем AuNR. ICG-красители на золотой наносфере размером 20 нм, объем которой примерно идентичен объему AuNR, привели к незначительному эффекту NFF. Наносферы не обладали плазмонной полосой в области NIR и, как следствие, не могли в достаточной степени связываться с возбуждением и испусканием красителей ICG. Напротив, AuNR демонстрировали продольную плазмонную полосу NIR, приводящую к их достаточной связи с возбуждением и испусканием красителей ICG, и, таким образом, приводили к сильному эффекту NFF. Этот результат указывает на то, что продольная плазмонная полоса из сформированной металлической наночастицы очень важна для ее достаточной связи с флуорофором NIR и вызывает сильную NFF в области NIR.

Комплексы ICG-Au также оценивали на уровне отдельных наночастиц на разрешенном во времени конфокальном микроскопе. Установлено, что комплексы ICG-Au имеют интенсивность в 10, 5 раз выше, чем у свободных конъюгатов ICG-HSA. Поскольку излучение комплексов ICG-Au собиралось при возбуждении с мощностью лазера, в 10 раз меньшей, чем у конъюгатов ICG-HSA, было рассчитано, что комплексы ICG-Au в 105 раз ярче, чем конъюгаты ICG-HSA. Учитывая, что один AuNR был в среднем связан с 6 конъюгатами ICG-HSA, коэффициент усиления на молекулу ICG был оценен в 16, 7, очень близко к коэффициенту усиления, достигнутому на ансамблевых спектрах. Этот коэффициент усиления также сопоставим со значением некоторых видимых флуорофоров на металлических наносферах (41), что свидетельствует о достаточном NFF-взаимодействии NIR-флуорофоров с AuNR.

Помимо интенсивности излучения, эффект ближнего поля флуорофора с металлической наночастицей может привести к значительному сокращению времени жизни (25). В этом исследовании времена жизни были собраны на одном уровне наночастиц на конфокальном микроскопе, и гистограмма времен жизни была снабжена гауссовым распределением. Максимум был получен при 0, 4 нс (рис. 4б), что намного короче, чем время жизни несвязанных конъюгатов ICG-HSA, при 2, 3 нс, что обеспечивает эффективное сцепление молекул ICG в ближнем поле с AuNR. Интересно было заметить, что время жизни комплекса ICG-Au находилось за пределами диапазона автофлуоресценции (2-5 нс) на изображениях флуоресцентных клеток на протяжении жизни, что было бы полезно для выделения сигналов излучения новых флуоресцентных наночастиц NIR из фоновых клеток на клеточном фоне изображения с временным разрешением (44, 45).

Используя контрастный агент для визуализации, комплексы ICG-Au конъюгировали с клетками HeLa для визуализации флуоресцентных клеток. Изображения флуоресцентных клеток регистрировали на конфокальном микроскопе как по интенсивности, так и по времени жизни. Было показано, что сигналы эмиссии от комплексов ICG-Au были отчетливо изолированы как отдельные пятна от клеточного фона (рис. 3в). Соотношение интенсивностей сигнал / шум на изображении оценивалось в прибл. 63, намного выше, чем у большинства органических флуорофоров или LNP, что было обусловлено высокой яркостью ICG-AuNR (44, 45). Кроме того, из-за значительно сокращенного срока службы выбросы ICG-AuNR могут быть лучше разрешены по фонам ячеек на изображениях ячеек времени жизни.

В качестве контроля клетки HeLa также инкубировали со свободными конъюгатами ICG-HSA, и изображения клеток регистрировали в тех же условиях (рис. 3d). Было показано, что полные клеточные изображения стали ярче, чем изображения пустых клеток без обработки, подтверждающей, что конъюгаты ICG-HSA были конъюгированы с клетками. Но выбросы от конъюгатов ICG-HSA не могли быть определены как индивидуумы от клеточного фона, что было связано с их низкой яркостью, а также близким временем жизни относительно клеточной автофлуоресценции на фонах.

В этом исследовании LNP не были функционализированы с конкретными биологически активными молекулами. Таким образом, комплексы ICG-Au должны были распределяться случайным образом через клетки (рис. 3в). С другой стороны, из-за громоздких размеров комплексов ICG-Au и относительно короткого времени инкубации эти LNP, как было установлено, в основном прикрепляются на поверхности клеток, что может быть результатом короткого времени инкубации с клетками. Наши другие эксперименты (не показанные здесь) также показали, что наночастицы металла такого размера могут проникать через клеточную мембрану и проникать в клетки. Мы будем использовать эти LNP в качестве индикаторов для обнаружения кальциевых каналов и градиентов концентрации с помощью флуоресцентной визуализации клеток. Как только наночастицы функционализируются биоактивными молекулами и затем попадают в клетки, им станет возможно помечать молекулы-мишени с более высокой эффективностью из-за наличия множества функциональных групп на их поверхностях.

Цитотоксичность комплексов ICG-Au тестировали на живых клетках HeLa с использованием анализа кальцеина AM, показывающего, что люминесцентные наночастицы обладают лишь незначительной или даже незначительной цитотоксичностью по отношению к живой клетке HeLa. Известно, что цитотоксичность металлических наночастиц сильно зависит от слоев покрытия на металлических ядрах. Для относительно низкой цитотоксичности наночастиц металлов в этом исследовании это может быть описано двумя возможными факторами. Сначала слои полиэтиленгликоля наносили на ядра Au с помощью ковалентных связей. Эти ковалентные связи намного сильнее, чем статистические взаимодействия, которые наночастицы обычно связывают, что приводит к тому, что современные комплексы ICG-Au являются более химически стабильными в клеточной среде или телах животных. Во-вторых, красители ICG обладают низкой токсичностью. Следовательно, комплексы ICG-Au могут незначительно или незначительно влиять на жизнеспособность клеток, как наблюдалось в этом исследовании.

Для проверки функции визуализации комплекс ICG-Au вводили на поверхность кожи мышей для получения флуоресцентного изображения мелких животных (16, 17). Было показано, что пятно эмиссии из места инъекции комплексом ICG-Au было ок. Конъюгат ICG-HSA в 5 раз ярче, чем сайт. Поскольку на двух участках инъекции содержалось одинаковое количество красителя ICG, разница в яркости двух пятен на изображении мышей должна быть связана с разной яркостью между комплексом ICG-Au и свободным конъюгатом ICG-HSA.

Однако было отмечено, что 5-кратное увеличение интенсивности флуоресценции LNP по сравнению со свободным конъюгатом ICG-HSA у мыши было меньше, чем коэффициент усиления в 16 раз для красителей ICG на AuNR. Эта величина была также намного меньше, чем разница яркости для LNP по сравнению со свободными конъюгатами ICG-HSA при флуоресцентной клеточной визуализации. Вероятно, это было связано с гораздо более сильным влиянием аутофлуоресцентного фона на изображения мелких животных.

Мы заинтересованы в разработке нового NIR LNP и использовании его для определения молекул-мишеней как в клетке, так и в мелких животных. Иммуногистохимия комплекса ICG-Au в органах мыши в этом исследовании не проводилась, и, таким образом, информация о токсичности комплекса ICG-Au для мелких животных в этой статье недоступна. Но также замечено, что мыши сохраняли хорошее здоровье после 1 недели инъекции комплекса ICG-Au, что указывает на то, что комплексы ICG-Au обладают относительно низкой токсичностью для этих мышей (58, 59). Дополнительные исследования по этому аспекту будут проводиться в нашей лаборатории.

В этом исследовании был разработан превосходный яркий NIR LNP для определения специфических мишеней для клеточной мембраны в клетках и мелких животных. Нас интересуют управляемые напряжением кальциевые каналы в клетке, ткани и среде, а также у мелких животных. Комплекс ICG-Au будет использоваться в качестве индикатора флуоресценции для изучения изменения ионов кальция в клетках и, кроме того, внутриклеточных концентраций или градиентов кальция на клеточном уровне, а также у мелких животных. Важно использовать этот LNP для обнаружения одной молекулы на уровне клеток. Но из-за сильного фона сигналы излучения отдельных наночастиц становятся очень трудными для разрешения на изображениях мелких животных. Тем не менее, благодаря значительно увеличенной флуоресценции и сокращенному сроку службы, комплексы ICG-Au могут предоставить нам больше возможностей для изучения целевых ионов кальция и их активности с лучшим разрешением и большей глубиной тканевого слоя.

Из-за ограниченности инструментов, изображение маленькой животной не могло быть записано в модели с временным разрешением в текущей системе визуализации. Но мы ожидаем, что благодаря значительно увеличенной флуоресценции и уникальному сроку службы комплекс ICG-Au может предоставить нам возможность наблюдать молекулы-мишени и их активность с лучшим разрешением и большей глубиной тканевого слоя при визуализации мелких животных с временным разрешением.

Выводы

Благодаря продольному плазмону в области NIR было продемонстрировано, что AuNR в достаточной степени связаны с возбуждением / испусканием флуорофоров NIR, что приводит к значительному усилению эффекта NFF. NFF может быть хорошо оценен с помощью как ансамблевой, так и одиночной спектроскопии наночастиц. Учитывая, что каждый AuNR был в среднем связан с шестью конъюгатами ICG-HSA, один комплекс ICG-Au был более чем в 100 раз ярче, чем один конъюгат ICG-HSA. Сильные взаимодействия в ближнем поле могут также привести к сокращению времени жизни, которое отличается от диапазона времени жизни клеточной аутофлуоресценции на флуоресцентных клетках и изображениях мелких животных. Благодаря уникальному сроку службы, комплекс ICG-Au может предоставить нам возможность наблюдать молекулы-мишени и их активность с лучшим разрешением и большей глубиной тканевого слоя при визуализации мелких животных с временным разрешением. Новые флуорофоры с наночастицами NIR будут использоваться в качестве индикаторов кальция для эффективного определения напряжения-чувствительного сигнала флуоресценции кальция in-vivo на уровне отдельных клеток и у живых мелких животных.

методы

Все химические реагенты и растворители спектрального качества использовались в том виде, как они получены от Fisher или Sigma / Aldrich. Кардиогрин (индоцианиновый зеленый, ICG) и человеческий сывороточный альбумин (HSA) были доступны от Sigma / Aldrich. Золотые наностержни (AuNR) и золотые наносферы были приобретены у Sigma / Aldrich. Мембрана для диализа RC (MWCO 4000) была получена от Spectrum Laboratories, Inc. Наночистую воду (> 18, 0 МОм см -1), очищенную на градиентной системе Millipore Milli-Q, использовали во всех экспериментах.

Получение конъюгатов ICG-HSA и связывающих конъюгатов на золотых наностержнях

Индоцианиновый зеленый (ICG) был впервые конъюгирован с человеческим сывороточным альбумином (HSA). ICG и HSA растворяли в 10 мМ физиологическом растворе с фосфатным буфером (буфер PBS) при pH = 7, 4. Молярное отношение ICG к HSA составляло 4/1 в растворе. Раствор перемешивали при комнатной температуре в течение 24 часов. Свободные ICG-красители в растворе удаляли диализом против 10 мМ PBS-буфера.

Конъюгаты ICG-HSA были ковалентно связаны на золотых наностержнях (AuNR). Использовалась трехступенчатая химическая реакция на поверхности AuNR. Во-первых, монослои ЦТАБ на AuNR были заменены гекса (этиленгликоль) моно-11- (ацетилтио) ундециловым эфиром, полиэтиленгликоль (ПЭГ) лигандом. 5 × 10 -11 М коммерчески доступных AuNR диспергировали в водном растворе, содержащем 1 × 10 -5 М гекса (этиленгликоль) моно-11- (ацетилтио) ундециловый эфир. Раствор непрерывно перемешивали в течение 12 часов, и AuNR выделяли центрифугированием. Во-вторых, монослои ПЭГ на AuNR были частично замещены N- (2-меркапто-пропинил) глицином посредством реакции поверхностного замещения. 5 × 10 -11 М ПЭГ-AuNR диспергировали в водном растворе, содержащем 5 × 10 -9 МН- (2-меркапто-пропинил) глицин. Раствор непрерывно перемешивали в течение 24 часов. AuNR были восстановлены по конфигурации. Наконец, конъюгаты ICG-HSA были ковалентно связаны на AuNR посредством реакции конденсации N-гидроксисукцинимида (NHS). 5 × 10 -11 М PEG-AuNR диспергировали в 10 мМ буферном растворе PBS при рН 8, 2, содержащем 5 × 10 -9 М конъюгатов ICG-HSA. Затем в раствор добавляли 1 × 10 -6 М N-гидроксисукцинимид (NHS) и 1 × 10 -6 М 1- (3-диметиламинопропил) -3-этилкарбодиимид гидрохлорид (EDC). Раствор перемешивали в течение 12 часов. Конечный продукт AuNR выделяли по конфигурации и диспергировали в 10 мМ буфере PBS при рН 7, 4.

Характеристика наночастиц

Изображения с помощью просвечивающей электронной микроскопии (ПЭМ) были получены с помощью электронного микроскопа Philips с боковым входом при 120 кэВ. AuNR разбавляли до наномолярных концентраций с последующей заливкой на медные сетки (200 меш) стандартными пленками Formvar с углеродным покрытием (200-300 Å). Образцы высушивали на воздухе для измерений ПЭМ. Распределение наночастиц по размерам анализировали с помощью Scion Image Beta Release 2.

Спектры поглощения регистрировали на спектрофотометре Hewlett Packard 8453. Спектры ансамблевой флуоресценции регистрировали на флуоресцентном спектрофотометре Cary Eclipse.

Измерения флуоресцентной визуализации проводили на сканирующем конфокальном микроскопе с временным разрешением (MicroTime 200, PicoQuant), который состоит из инвертированного конфокального микроскопа, соединенного с высокочувствительным детектором. В качестве источника возбуждения использовался одномодовый импульсный лазерный диод (470 нм, 100 пс, 40 МГц). Масляный иммерсионный объектив (Olympus, 100 ×, 1, 3 NA) использовался для фокусировки лазерного луча на образце и сбора излучения. Излучение проходило через дихроичное зеркало, фокусировалось на точечном отверстии 75 мкм для пространственной фильтрации и регистрировалось на однофотонном лавинном диоде (SPAD) (SPCM-AQR-14, Perkin-Elmer Inc.). Для устранения остаточных сигналов возбуждения использовался фильтр длинных частот более 750 нм. Данные были собраны на плате TimeHarp 200 и сохранены в режиме временного разрешения (TTTR).

Конъюгирование комплексов ICG-Au с клетками и их цитотоксичность

Комплексы ICG-Au конъюгировали на клетках HeLa для визуализации флуоресцентных клеток. Клетки HeLa диспергировали в модифицированной Дульбекко среде Игла (DMEM), дополненной 10% фетальной бычьей сывороткой (FBS), и затем выращивали на 6-луночном покровном стекле, инкубированном при 37 ° C / 5% CO 2 /95% влажности для 48 ч. Затем клетки фиксировали 4% параформальдегидом в 10 мМ буфере PBS при pH 7, 4 в течение 30 минут при 4 ° C. Фиксированные клетки дважды промывали 10 мМ PBS-буфером с последующей инкубацией с 0, 5 нМ ICG-Au в 10 мМ PBS-буфере в течение 30 минут. Образцы промывали 10 мМ PBS-Mg-буфером, сушили на воздухе и хранили при 4 ° С. Получение изображений образцов конъюгированных клеток LNP проводили на конфокальном микроскопе с временным разрешением.

Цитотоксичность тестировали на живых клетках HeLa с использованием анализа кальцеина AM. Вкратце, клетки HeLa выращивали в 6-луночных стеклянных покровных стеклах в течение 48 часов, как описано. Клетки дважды промывали 10 мМ PBS-буфером с последующим добавлением 1 мкМ раствора кальцеина AM. Добавляли 0, 3 и 3 нМ раствор наночастиц Au и клетки непрерывно культивировали в инкубаторе. Изображения живых клеток HeLa, окрашенных кальцеином AM, получали на конфокальном микроскопе через разные промежутки времени с полосовым фильтром 514/30 нм, используя лазерный диод 443 нм в качестве источника возбуждения. Изображения мертвых клеток были идентифицированы по их более сильной автофлуоресценции на другом канале с длиннопроходным фильтром 655/20 нм с использованием лазерного диода 640 нм в качестве источника возбуждения. Изображения клеток подсчитывали на уровне отдельных клеток и анализировали на жизнеспособность клеток.

Томография мелких животных

Комплексы ICG-Au были протестированы в качестве контрастных агентов для визуализации флуоресцентных изображений мелких животных. Как правило, 5-6 недель голых мышей сначала подвергали эвтаназии под глубоким наркозом. Для удаления волос на животе мышам вводили 0, 1 мл 10 мМ буферного раствора PBS, содержащего 0, 5 нМ комплексы ICG-Au, ниже поверхности кожи мышей. Затем одинаковые объемы конъюгата ICG-HSA (концентрация = 3 нМ) в 10 мМ буферном растворе PBS и холостом растворе в 10 мМ буферном растворе PBS также соответственно инъецировали в разные сайты одних и тех же мышей. Флуоресцентную визуализацию мелких животных проводили на системе Xenogen IVIS-200 с полосовым фильтром 665-695 нм для фона, полосовым фильтром 710-760 на стороне возбуждения и полосовым фильтром 810-875 нм на излучении боковая сторона. В качестве источника возбуждения использовался лазер мощностью 150 Вт при длине волны 750 нм. Общий поток фотонов (фотонов / с) в течение измерения рассчитывали и корректировали по глубине ткани с помощью спектральной визуализации с использованием программного обеспечения Living Image 3.0 (Xenogen). Измерения визуализации мелких животных проводились в соответствии с утвержденным протоколом IRB Медицинского факультета Университета Мэриленда.

Сокращения

NFF:
флуоресценция ближнего поля
БИК:
ближней инфракрасной
ICG:
индоцианин зеленый
AuNR:
золотой наностержень
ЛНП:
люминесцентная наночастица
СТАВ:
цетилтриметиламмоний бромид
HSA:
человеческий сывороточный альбумин
PEG:
полиэтиленгликоль
ТЭМ:
просвечивающий электронный микроскоп
EDC:
1- (3-диметиламинопропил) -3-этилкарбодиимид гидрохлорид